Species: Compsoneuriella braaschi  Boonsoong & Sartori, 2015
Classification
Phylum: Arthropoda
Class: Insecta
  Order: Ephemeroptera
   Family: Heptageniidae
    Genus: Compsoneuriella
Collection specimen
Holotype:
 - male imago in Zoological Museum, Kasetsart University, Bangkok
Paratype:
     - 1 mature nymph in Zoological Museum, Kasetsart University, Bangkok; 1 male imago and 2 mature nymphs in Museum of Zoology, Lausanne, Switzerland; 9 male subimagos and 13 mature nymphs in Zoological Museum, Kasetsart University, Bangkok

Morphology:
Adult:
 In the male imaginal stage, Compsoneuriella braaschi is very similar to C. thienemanni, from which it can be separated by having more reduced spines on the penes lobes and by having the titillators strongly pointed at apex and directed outwards (Boonsoong and Sartori, 2015).
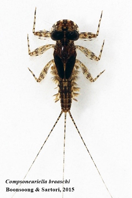
Larva:
 In the nymphs, this species can be differentiated from C. thienemanni by the following characters: 1) the maxilla bears 8–9 comb-shaped setae on the crown (C. thienemanni bears 12 comb-shaped setae); 2) the row of setae and bristles on the ventral side of the labrum is much longer than in C. thienemanni; 3) the glossae of the labium are more conical than in C. thienemanni; 4) the dorsal surface of the glossae bears two setae (C. thienemanni bears a single pointed seta); and 5) the posterior margins of the abdominal terga lack distinct rows of microdenticles (Boonsoong and Sartori, 2015).


Figure

Adult of Compsoneuriella braaschi (Source: Boonsoong and Sartori, 2015)



Larva of Compsoneuriella braaschi (Source: Boonsoong and Sartori, 2015)

Habitat: The nymphs of were collected by sweeping the submerged bank habitat with particular attention given to twigs, woody debris and leaves. The stream had a substrate composed of sand, pebbles and gravel (Boonsoong and Sartori, 2015).

Distribution:
 - Ratchaburi Province; Chiangmai Province; Kanchanaburi Province and Prachuap Khiri Khan Province

Work cited:
 - Boonsoong, B. and Sartori, M. 2015. A new species of Compsoneuriella Ulmer, 1939 (Ephemeroptera: Heptageniidae) from Thailand. Zootaxa 3936 (1): 123–130.



ติดต่อและสอบถาม: narumon@kku.ac.th สาขาวิชาขีววิทยา คณะวิทยาศาสตร์ มหาวิทยาลัยขอนแก่น